Restricții de circulație pe strada Dragoș Vodă
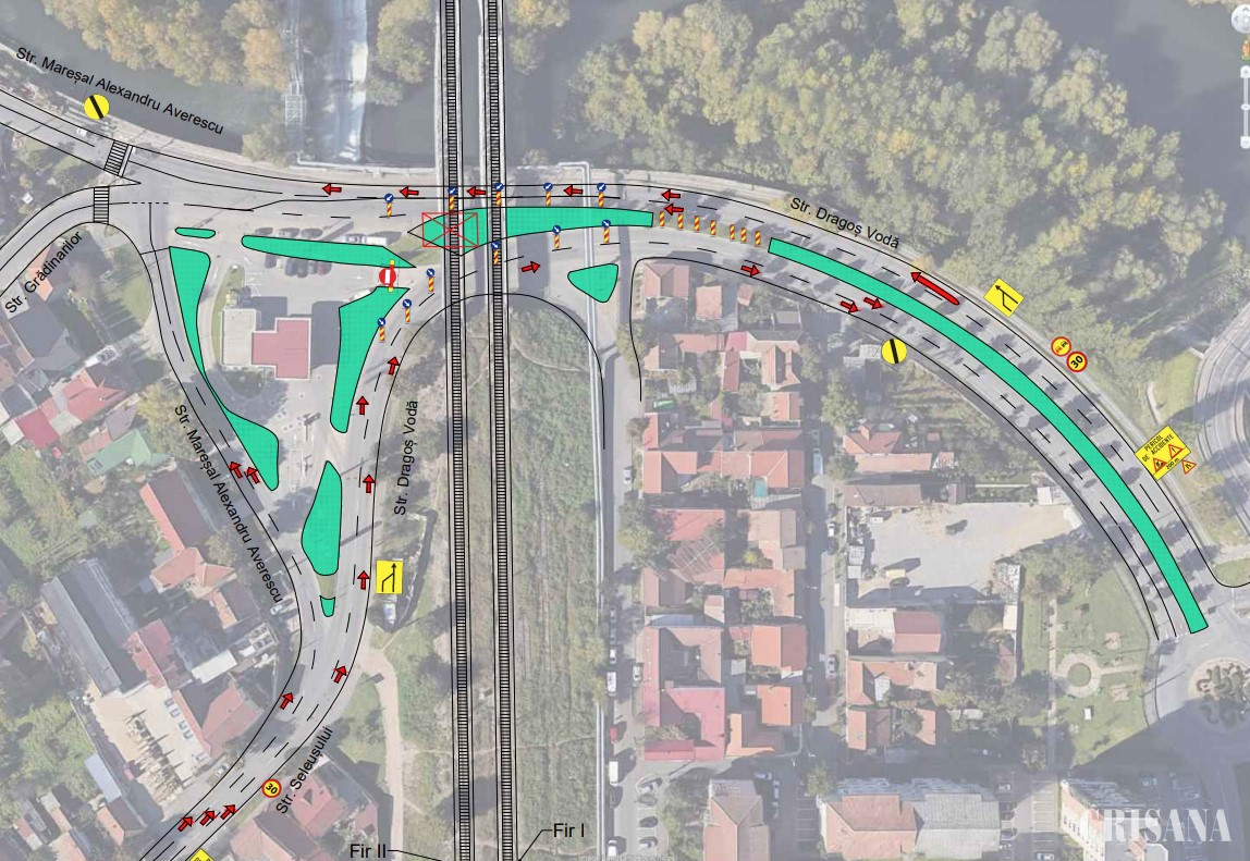
În perioada 13 noiembrie – 17 noiembrie, se vor institui restricții de circulație provizorii pe strada Dragoș Vodă, în zona podului CFR pentru executarea lucrărilor de „Demontare pod cale ferată” prevăzute în cadrul proiectului „Electrificarea și reabilitarea liniei de cale ferată Cluj Napoca – Oradea – Episcopia Bihor”.
Astfel, pe strada Dragoș Vodă traficul rutier se va desfășura pe câte o bandă pe sens, respectiv banda numărul unu al fiecărui sens de circulație.
Aceste restricții vor fi implementate la solicitarea constructorului.



Comentarii
Nu există nici un comentariu.