Pentru lucrări ale CFR, OTL și Companiei de Apă - Restricții de circulație în Oradea
Comisia municipală de circulație, întrunită miercuri, 30 octombrie, a stabilit patru restricții de circulație la nivelul municipiului Oradea.
Două restricţii sunt cauzate de lucrările CFR din zona Dragoș Vodă, respectiv podul CFR din zona străzilor Matei Corvin – Podului, o lucrare OTL pe timp de noapte, în intersecția centrală a străzilor Independenței – Parc 1 Decembrie (fostul Făt Frumos), respectiv o lucrare la rețele de apă – canalizare, pe strada Dunărea, cu deviere pe strada Cometei.
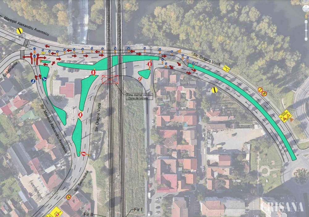
Se demontează podurile CFR
În perioada 31 octombrie – 1 noiembrie, se vor institui restricții de circulație provizorii pe strada Dragoș Vodă, în zona podului CFR, pentru executarea lucrărilor de „Demontare pod cale ferată” prevăzute în cadrul proiectului „Electrificarea și reabilitarea liniei de cale ferată Cluj Napoca – Oradea – Episcopia Bihor”.
Astfel, pe strada Dragoș Vodă de la intersecția cu strada Grădinarilor și până la zona de deviere a traficului rutier de pe sensul de mers dinspre strada Clujului spre strada Mareșal Averescu, amenajată anterior, circulația rutieră se desfășura în ambele sensuri pe câte o bandă de circulație. Traficul rutier dinspre strada Seleușului se va devia spre strada Mareșal Alexandru Averescu, respectiv spre strada Dragoș Vodă.
Totodată, a fost avizată închiderea circulației pe strada Matei Corvin pe tronsonul girația strada Podului, B-dul Ștefan cel Mare – girație strada Ion Bogdan începând de vineri, 1 noiembrie, ora 22.00 până luni, 4 noiembrie, ora 6.00, în vederea demontării podului feroviar peste strada Matei Corvin DN 19.
Aceste restricții vor fi implementate la solicitarea constructorului, Webuild Spa Milano.
Intersecție centrală închisă noaptea
Municipalitatea orădeană a anunţat, de asemenea, că circulaţia rutieră la intersecția străzii Independenței cu Parcul 1 Decembrie (lângă fostul magazin Făt Frumos) va fi restricționată pe timp de noapte, între orele 23.00 și 4.00, din seara de joi, 31 octombrie, până în noaptea de sâmbătă spre duminică, 2 - 3 noiembrie, pentru lucrări de reparații la rosturile aferente liniilor de tramvai. Solicitantul în acest caz a fost Dito Group, ce lucrează pentru OTL.
În noiembrie, deviere pe relația Dunărea - Cometei
Comisia de circulație a mai avizat restricționarea circulației pe strada Dunărea, începând de luni, 4 noiembrie, până în data de 30 noiembrie, pentru executarea lucrărilor de extindere și înlocuire rețele de apă și canalizare pe această stradă, solicitantul fiind Construcții Bihor. Traficul se va desfășura pe strada Cometei, ce devine rută alternativă prin schimbarea sensului unic de circulație. Pe această stradă, în perioada amintită traficul se va desfășura dinspre strada Dunărea spre strada Mihai Eminescu. R.C.



Comentarii
Nu există nici un comentariu.