În locul fermei de porci Nutripork - Un nou parc industrial
Agenţia de Dezvoltare Locală Oradea a primit titlul de parc industrial pentru terenul de 6,5 ha predat de firma Nutripork municipalităţii printr-un protocol aprobat în luna iunie anul trecut. Până în 2020, administrația locală va dezafecta terenul situat pe strada Corneliu Baba, urmând să fie introduse şi utilităţile.
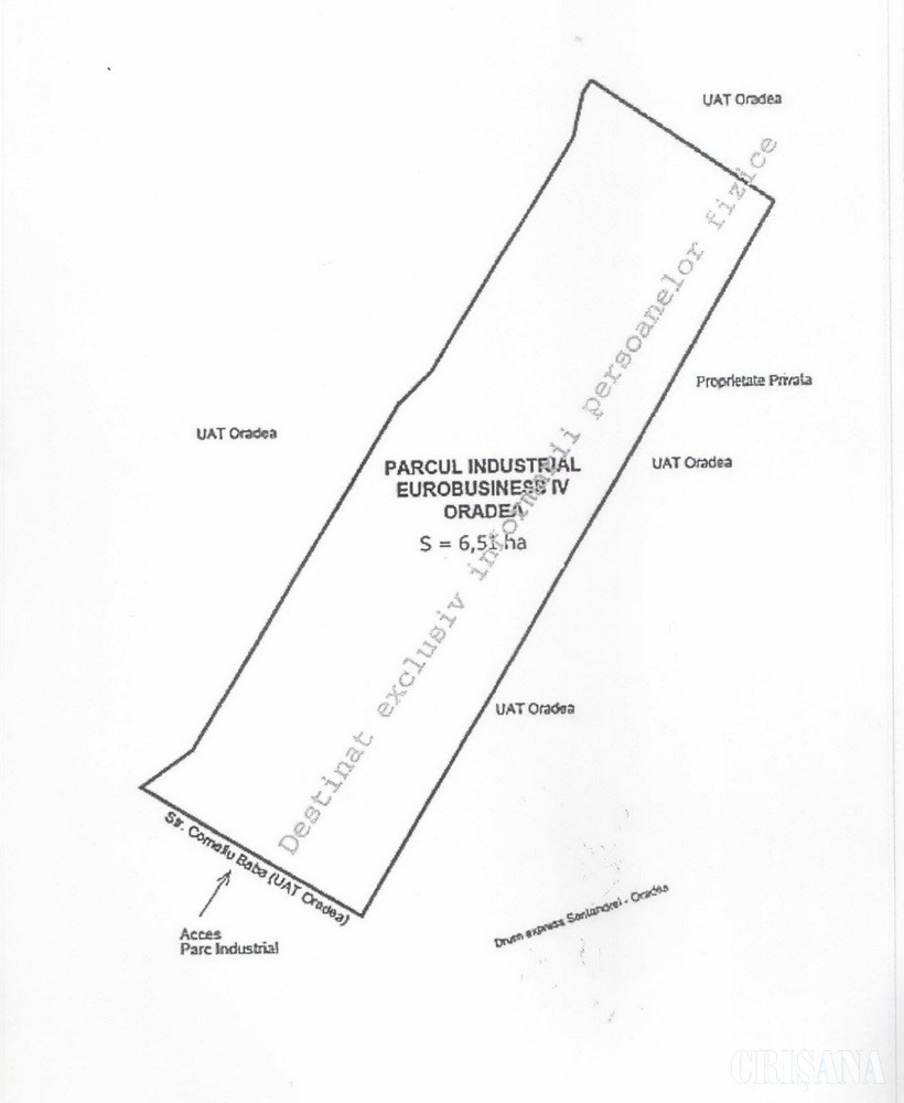
În luna iunie a anului trecut, Consiliul Local a aprobat semnarea protocolului între Municipiul Oradea și SC Nutrientul SA, precum și vânzarea directă a suprafeței de 11,4 ha, situată pe str. Corneliu Baba nr. 21 - 32, în favoarea societății Nutrientul. Protocolul are ca obiect relocarea activității de creștere a suinelor din Oradea până cel târziu la data de 31 decembrie 2020, respectiv măsuri de administrare a terenului în suprafață totală de 18 ha, aferent fermei de creștere a suinelor Nutripork.
„Firma Nutripork are o concesiune de teren de 18 hectare până în anul 2048. Din aceste 18 ha, pe 11,4 ha firma are clădiri şi batale de colectare a deşeurilor, iar 6,5 ha sunt terenuri nefolosite. Conform înţelegerii încheiate, pe cele 6,5 ha predate Consiliului Local, municipalitatea va dezvolta un parc industrial, care va fi administrat de ADLO”, menţionează municipalitatea orădeană.
Pe baza protocolului, Primăria Oradea a înaintat Ministerului Dezvoltării Regionale și Administrației Publice cererea pentru acordarea unui nou titlu de parc industrial, iar în urma analizei documentației aferente trimisă de către municipalitate, ministrul Dezvoltării Regionale și Administrației Publice a emis Ordinul viceprim-ministrului nr. 1.863 din 5 iunie 2019 privind acordarea titlului de parc industrial Societății Agenția de Dezvoltare Locală Oradea SA pentru infrastructura de afaceri Eurobusiness IV. Durata titlului de parc industrial este de 50 de ani, iar terenul unde se va realiza parcul industrial este amplasat pe strada Corneliu Baba nr. 21-23 și are o suprafață de 6,51 ha.
Având în vedere că ordinul s-a și publicat în Monitorul Oficial, după ce vor fi parcurse etapele necesare și se va obține titlul propriu-zis, administrația locală va trece la amenajarea efectivă a parcului industrial prin dezafectarea terenului până în anul 2020 și introducerea utilităților necesare.
„Obiectivul nostru este să dezvoltăm economic această zonă, în așa fel încât locuitorii din Ioșia și Sîntandrei să aibă locuri de muncă în apropiere și să nu fie nevoiți să facă naveta. Până la finalul anului, prin preluări de teren, ne dorim să dublăm suprafața parcului, în așa fel încât să punem terenuri la dispoziția investitorilor, să oferim terenuri ieftine pentru firmele care doresc să deschidă o afacere sau să-și relocheze activitatea în parcul industrial. Totodată, în paralel, lucrăm la documentațiile de urbanism pentru realizarea acceselor în parcul industrial”, a declarat primarul Ilie Bolojan.



Comentarii
Nu există nici un comentariu.